- Nación
Cierran puertos por huracán Genevieve que ya es categoría 4
Martes, Agosto 18, 2020 - 13:27
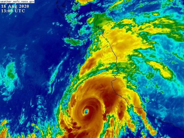
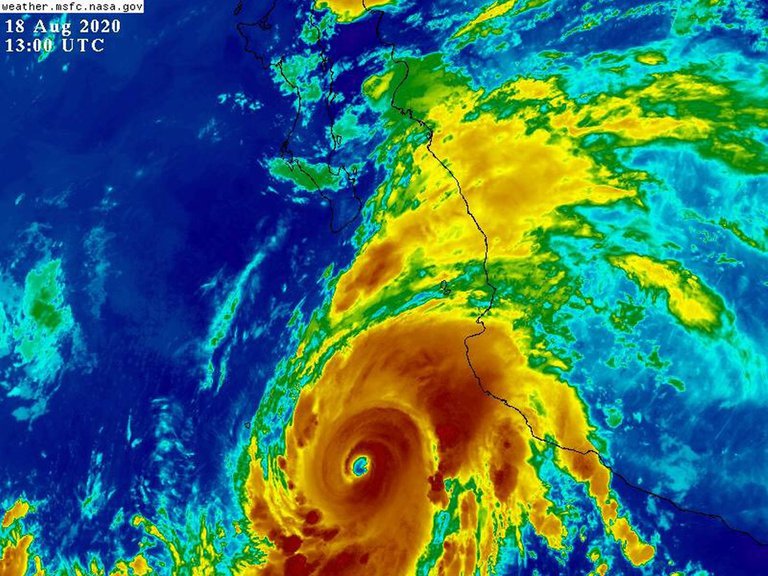
Los vientos que alcanza son de 215 kilómetros por hora (km/h), lo que ha hecho que se convierta en un poderoso huracán de categoría cuatro
De acuerdo con el Servicio Meteorológico Nacional (SMN), el centro de la tormenta se ubicó a las 10:00 horas del martes a 405 kilómetros al oeste-suroeste de Manzanillo, Colima; acercándose cada vez más al sur-sureste de Cabo San Lucas, en Baja California Sur.
Los vientos que alcanza son de 215 kilómetros por hora (km/h), lo que ha hecho que se convierta en un poderoso huracán de categoría cuatro.
Por tal situación, la Secretaría de Marina, informó sobre el cierre de puertos en el Pacífico Mexicano por el paso del huracán, el cual no tocará tierra, sin embargo, pasará cerca del litoral de Baja California Sur.
Imagen de la NASA
ES
municipios_interiores:
Encuesta
Destacadas
-
En Izúcar se realiza el primer encuentro regional de TecuanesIzucar de MatamorosHace: 1 año 8 meses -
Certifican a empresas de Atlixco para brindar mejor servicio a los turistasAtlixcoHace: 3 años 3 semanas -
Policias de Yucatán son acusados de violar y asesinar a un joven de 23 años de edadNaciónHace: 4 años 3 meses -
Roban camión con leche Liconsa y lo dejan en TecamachalcoTecamachalcoHace: 6 años 11 meses -
Justifica síndico desalojo de juegos mecánicos por parque de 4 mdpTehuacánHace: 7 años 3 meses -
Marcharán en Coapan contra patrocinio a Carrera de la TortillaTehuacánHace: 7 años 3 meses -
Por falta de policías, piden Seguridad Estatal en YehualtepecCiudad SerdánHace: 7 años 3 meses -
Acusan a alcaldesa de Tehuacán por actos de corrupciónTehuacánHace: 7 años 3 meses


